Articles Menu
If you're like me, you've been appalled by the lack of discussion of real climate action in the media amidst the massive storms and fires this summer. With that in mind, we're excited to be working alongside our new colleagues at ClimateTruth.org to demand that journalists drive a real conversation of who's to blame and what's to be done about these climate disasters.
Join us in today's tweet storm, as a first step in changing this debate.
Thanks,
David Turnbull
Oil Change International
|
Friend,
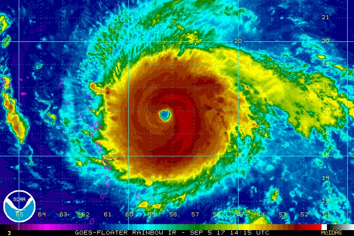
All week I’ve watched with great concern as friends have had to flee hurricane Irma and as the news reports rolled in describing devastation in Florida and across the Caribbean. Now, millions of people are still left without power, hundreds are homeless, and dozens have been killed.
Irma packed a major punch as one of the most powerful storms ever recorded, and maintained its devastating speed in a way scientists have never seen before — and Irma followed on the heels of the catastrophic hurricane Harvey and unprecedented wildfires in the West.
These escalating disasters must be a wake up call to all of us, a catalyst to connect the dots between extreme weather events, climate change, and the culpability of the fossil fuel industry. We need to have a real discussion of what’s behind these storms and what must be done about it.
It's easy to miss the connections because the news media, even in its wall-to-wall 24/7 hurricane coverage, has failed to tell an essential part of the story. News anchors haven't called this storm what it is: a fossil-fueled climate disaster. And what's worse, they haven't demanded answers from those responsible: the fossil fuel industry and the elected officials who do their dirty work.
That’s why today we're joining forces with our allies across the nation for a tweet storm that directly targets media outlets. Join us to demand that the media ends the deafening #ClimateSilence by asking the questions that need to be asked and telling the stories that need to be told. Add your voice today:
We are long past discussing whether or not climate is impacting extreme weather. We already know that it is. We know that storms like Irma and Harvey are supercharged by climate change. The discussion now needs to be: what are we going to do about it? And for that we have answers: End public support for fossil fuels and keep them in the ground. Go 100% renewable. Pursue a just transition off of fossil fuels. Break free from the influence of the fossil fuel industry on our politics.
Join us today to break the #ClimateSilence. The tweet storm continues throughout the day.
Our thoughts remain with those impacted. We’ll stay in touch in the days and weeks ahead with more ways to get involved.
Truthfully Yours,
Emily, Brant, David, Matt, Amanda, and the rest of the ClimateTruth.org team
P.S. This is a moment to help those impacted. Give today to support grassroots organizations on the ground in Florida that are working to help the most vulnerable communities recover and rebuild, and to GlobalGiving’s Irma Relief Fund. If you've been impacted by the recent storms, flooding, or wildfires and want to share your story, please reach out to us by replying to this email.
MORE INFORMATION:
"Break the #ClimateSilence: Time for a new conversation," Oil Change International, 09-13-2017
http://act.climatetruth.org/go/1932?t=12&akid=8372%2E410397%2EnWozJR
“Why Republicans are frozen on climate change,” CNN, 09-12-2017
http://act.climatetruth.org/go/1927?t=14&akid=8372%2E410397%2EnWozJR
“Irma Won’t ‘Wake Up’ Climate Change-Denying Republicans. Their Whole Ideology is on the Line,” The Intercept, 09-11-2017
https://act.climatetruth.org/go/1929?t=16&akid=8372%2E410397%2EnWozJR
“STUDY: ABC and NBC drop the ball on covering the impact of climate change on hurricanes,” Media Matters for America, 09-08-2017
https://act.climatetruth.org/go/1930?t=18&akid=8372%2E410397%2EnWozJR

Oil Change International campaigns to expose the true costs of fossil fuels and facilitate the coming transition towards clean energy. We are dedicated to identifying and overcoming barriers to that transition.
Want to support our work further? Click here to donate.
We are a 501(c)(3) organization and all donations are fully tax deductible.