
Articles Menu

Nov. 2, 2025
Bill Gates picked one hell of a moment to release his call for a “strategic pivot” in tackling climate change. “Hell” being the most frequent description of sheltering through the terrifying fury of Hurricane Melissa as it cut across the Caribbean.
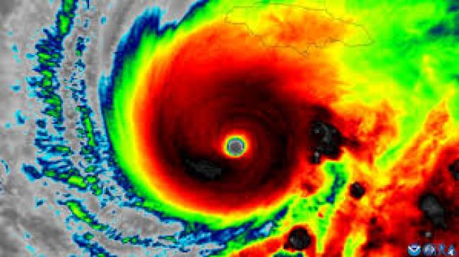
Melissa was a monster of a storm. Supercharged by simmering ocean temperatures, Melissa went through “extreme rapid intensification” not once but twice before hitting Jamaica with storm surge as high as four metres and winds nearing 300 km/h. Those exceptionally hot ocean conditions are estimated to have been up to 900 times more likely because of human-caused climate change.
While billionaire Bill was expounding on “what I want everyone at COP30 to know,” families huddled, covering their ears in desperate, futile efforts to muffle the unbearable screaming of the wind and concussive convulsions of the air. Long after the rubble is removed, the communities will struggle for years and a generation will suffer PTSD.
“I’ve changed … I can no longer be non-alarmist,” said the 40-year veteran meteorologist and hurricane expert John Morales, reporting on Melissa’s astonishing power. “People need to realize that this is not going to stop until we cut the injection of greenhouse gases into the atmosphere.”
Around the same time as Melissa terrorized and killed people across the Caribbean, Bill Gates was publishing his own self-proclaimed “tough truths about climate.” It begins by taking aim at the “doomsday view,” which, he claims, is causing too much focus on temperature change and greenhouse gas emissions and is “diverting resources from the most effective things we should be doing to improve life in a warming world.”
Even setting Gates’ arguments aside for a moment, his timing was astonishingly tone-deaf. Did none of his communications team have the ability to object? Hey, boss. Maybe we should hold off the climate softpeddling until after the supercharged monster is done flattening the countries we say we care so much about?
Because that’s the essence of Gates’ argument for a “strategic pivot”: that we should put “human welfare” at the centre of global efforts. It’s hard to argue with that anodyne statement. Or with his “chief goal” — “to prevent suffering, particularly for those in the toughest conditions who live in the world’s poorest countries.”
And, to be fair, there are a lot of sensible suggestions buried in the billionaire’s memo to the world. Few people will ever hear about them because of the incendiary dichotomies he uses to frame his arguments.
Right up front, and about as far as most new reports seem to have delved, Gates leads off with the clickbait: climate change “will not lead to humanity’s demise,” he asserts. It’s a statement that spawned a thousand headlines (Gates’ had previously written a book titled How to Avoid a Climate Disaster).
But it’s a strange assertion and it’s not clear who, exactly, Gates thinks he’s arguing with. Beyond some cli-fi novels and the odd movie, very few people claim that climate change will be an extinction-level disaster for human beings. More to the point, vanishingly few people with power are acting as though climate change deserves even moderate attention. As Canadians well know, the people holding the reins are more likely to be rolling back their climate efforts.
Anyway, it’s a remarkably low bar. Surely we might aim a smidge higher than “humanity’s demise”? Or try for conditions somewhat better than “not the end of civilization” — Gates’ reassuring phrase later in his memo.
But his statements had the effect that Gates and his comms team must have expected. Headlines and memes surged as quickly as a hurricane over hot water: “Stunning claim,” “Reverses course,” “Changed his tune,” “Softens approach.”
And, while experts conducted hermeneutics on the Gates text and speculated about the impact on public discourse, the Mad King trumped them all, making Gates’ impact loud and clear.
“I (WE!) just won the War on the Climate Change Hoax. Bill Gates has finally admitted that he was completely WRONG on the issue,” President Trump declared on his Truth Social platform.
“It took courage to do so, and for that we are all grateful.”

You won’t be shocked to hear that this isn’t quite true. “To be clear,” Gates writes in bolded text, “Climate change is a very important problem. It needs to be solved….” And even his comment about humanity’s demise was prefaced with “climate change will have serious consequences — particularly for people in the poorest countries.”
But Gates does argue that the worst case scenarios are now less likely because of progress in clean energy. And he goes on to argue, as he has for many years, that the best chance to continue progress on climate is to focus on innovation and “breakthrough” (the name of his venture capital company) technologies.
This is one of his most deceptive arguments. While there are certainly sectors that would benefit from new tech, the progress Gates applauds came from the approach he’s dismissing. It isn’t “breakthroughs” that are working but the determined deployment of proven solutions and improving them along the way. Those results came from government policies pushed by activists and clean energy advocates. Exactly the opposite of Gates’ techno-moonshot approach which lobbies against deployment now, because “innovation” someday.
While Gates and his ilk focused on breakthroughs, Europe and then China simply got on with deployment of renewables and electrification, driving down costs, driving up adoption and producing the “great progress” that Gates now lauds.
But the real devil is in the dichotomy that Gates promotes: a focus on human welfare and public health versus cutting carbon pollution. He’s surely correct that the world should do more to tackle malaria and malnutrition. But this week’s hellish split screen showed just how false it is to set up a dichotomy between health and safety.
“Sorry Bill Gates, no amount of human welfare in Jamaica would have stopped, prevented or reduced the impact of category 5 Melissa,” wrote Christiana Figueres, former chief of the UN climate talks, in the aftermath of the hurricane. “She got to that intensity because of abnormally warm waters on her path.”
“That reality is not addressed by only improving the lives of vulnerable people while leaving them exposed to the ravages of climate change. We are not in a binary either/or world. We have to do both: reduce emissions where they are and improve livelihoods where that is needed. Both with urgency. A stable and safe climate, health, prosperity and development are intricately interlinked.”
Another helpful way of thinking about Gates’ blindspots comes from Katherine Hayhoe, the Canadian atmospheric scientist who was sadly lured away to Texas. In addition to her day job, Hayhoe runs a dynamic one-woman public education campaign on climate change.
One of Hayhoe’s memorable analogies is particularly pertinent in addressing false choices. We often think of problems as separate buckets: disease, malnutrition, affordability or economic development. But “Climate change is not a separate bucket,” Hayhoe says. “The reason we care about climate change is that it’s the hole in every bucket.
The buckets are not just dripping. And it’s odd that Gates, with his focus on human health, would pay so little attention to the world’s health experts. Global heating is now killing one person per minute around the world, according to the latest assessment just published in the journal Lancet.
It is “a bleak and undeniable picture of the devastating health harms reaching all corners of the world. The destruction to lives and livelihoods will continue to escalate until we end our fossil fuel addiction,” says Dr. Marina Romanello, the lead author of the Lancet’s Countdown on Health and Climate Change. “We’re seeing millions of deaths occurring needlessly every year because of our delay in mitigating climate change and our delay in adapting to the climate change that cannot be avoided. We’re seeing key leaders, governments and corporations backsliding on climate commitments and putting people increasingly in harm’s way.”
So, yes, Bill Gates is right that human welfare should be our North Star. But human welfare isn’t some separate project — it’s the casualty of the crisis he’s downplaying. Hurricane Melissa made that plain enough.
While Gates was publishing his memo to the world, Melissa was writing her own — across the Caribbean in salt and ruin. Her message wasn’t abstract. It was written in windspeed and storm surge, in decibels of terror. The “pivot” it screams for is fewer billionaire blogs and more collective action.
[Top: Hurricane Melissa ABC News]